神奇太宗明太宗的传奇一生
2024-09-11 22:04:18
中国近年来最强台风
导语:台风是最为严重的自然灾害之一,其中心附近的最大风力在12级或12级以上,影响力可想而知。
那么,大家知道中国近年来最强台风(按年份排序)是怎么样的?
今天小编就为大家分享一下,感兴趣的朋友可以来好好看看,说不定就有你熟悉的台风了。

5612号台风,WANDA,中文译名温黛。
老一辈人都叫她“八一大台风”。
是1956年登陆我国浙江的超强台风。
1956年8月1日0时(一说8月2日凌晨2时),5612号台风WANDA(温黛)在浙江省宁波市象山县南庄乡登陆。
登陆时中心气压923百帕,风速达65米/秒。
8月3日之后,WANDA(温黛)经过安徽、河南、山西、陕西等省,减弱后的低压消失在陕西省与内蒙古的交界处。
共造成超过5000人遇难,仅浙江就有4925死于非命,1.7万余人受伤,220万幢房屋受到不同程度毁坏,经济损失难以估量。
“八一台灾”50年后,南庄平原上树立起了一座纪念碑,以示永远铭记。

1973年9月14日凌晨2点左右,7314号台风玛琪在海南省琼海市登陆,巅峰中心风力75米/秒,最大阵风超过85米/秒,登陆的风力达到60米/秒,中央气象台认定登陆时眼外实测气压为938.5百帕,登陆的风力评价为60米/秒,最低气压925百帕。
7314号超强台风环流特别小,杀伤力巨大。
狂风席卷琼海、万宁、定安、屯昌、白沙、昌江、东方7个市县。
这是建国以来在中国海南登陆的最强的台风(直到台风威马逊打破记录为止)。
整个海南省当场不完全统计死亡903人,尤以琼海市为最。
按属地统计,琼海市死亡人数达771人,重伤1531人,轻伤3825人,民房倒塌5万多间。
1994年8月9日,94(年)16号台风在温岭沿海转向后由南到北将大半个浙江沿海横扫一遍,惟独温州又一次幸免。
8月15日14:00,JTWC(联合台风警报中心)将生成之后在西北太平洋上徘徊了4天的热带低压正式命名为9417号台风,英文名称“Fred,并随即正式起编,”8月的水温出奇地高,FRED所处海域温度竟达到30度。
然而这个散漫的家伙增强的脚步之慢着实出人意料。
在中心位于日本上空的副高(副热带高压简称)引导下,FRED不温不火地朝西一西北西前行,似乎连JTWC都替她着急了。
一天过后,FRED才成为1级台风,每天不到20KT的增强速度着实辜负了难得的水温。
与很多侵台TC(气旋)一样,接下来的CAT2、CAT3(台风等级),直到18日挪进130E(东经130度)后的CAT4(相当于强台风),再到19日夜的当年第三个STY(130KT,相当于超强台风),眼区清晰可见,但发展过程无甚特色。
虽然这个强度本可以让大陆如临大敌,同时即将到来的七月半足以让海水高涨,可是,台湾岛的拦路横前让CMA(中国气象局)的心稍稍放宽了些。
毕竟台湾的中央山脉可以救大陆一命,纵使6911或9018重演,福建的防潮能力也该大有提升了罢。
此刻CWB(台湾气象局)却开始紧张起来,虽然台湾对于CAT4并不陌生,但并非每一次都能侥幸过关,眼看着FRED已经到了125E-—即将迎头撞上玉山,CWB内部气氛凝如死寂。
虽然这个强度本可以让大陆如临大敌,同时即将到来的七月半足以让海水高涨,可是,台湾岛的拦路横前让CMA(中国气象局)的心稍稍放宽了些。
毕竟台湾的中央山脉可以救大陆一命,纵使6911或9018重演,福建的防潮能力也该大有提升了罢。
此刻CWB(台湾气象局)却开始紧张起来,虽然台湾对于CAT4并不陌生,但并非每一次都能侥幸过关,眼看着FRED已经到了125E-—即将迎头撞上玉山,CWB内部气氛凝如死寂。

然而地球是圆的,并非任何事情都可以在凡人的掌控之中,8月20日成了真正的转折点。
先前一连几天稳定少动的副高中心突然减弱并向南移动,亦加上可能的与台湾地形的交互作用——从20日中午开始FRED路径大幅转北,在即将踩线的一刹那忽然转身,开始以北北西-北绕过台湾岛。
CWB无论如何也没有料到这一突如其来的变化,但终于可以长吁一口气了——台湾逃过一劫。
惊魂未定的CWB称这段路径为“救命的一跳”,并用颤抖的双手记载在当年年鉴中。解除警报的同时,FRED于台北以北220KM处海域横过,给台湾北部造成了不大的损害,死亡失踪4人,而彭佳屿记录到的持续4OM/S、极大53.2M/S似乎在暗示着什么。
而北抬后FRED的生命也开始快速走向了下坡。
路过石桓岛时留下的939.1HPA诉说着些许无奈,毕竟东海的低水温和台湾地形的破坏已无法重振当年WANDA(温黛,5612号台风)的雄风。
无言的FRED于21日再次转向西北,登陆浙南几成定局。
那“救命的北跳”在CMA和浙江气象台看来可谓是“致命的北跳”,几天前谁也没有料到FRED还有这么一手。
浙南海塘大多年久失修,多年没有经受过强台风的考验。
它们能抵御住“七月半”和FRED的双重夹击吗?
除了局内人,似乎很少有人意识到这个问题。
台风警报发布后,从海塘边撤离,单位24小时值班,把窗台前的花盆搬走,能做的也只有这么多了。
只是这一次,FRED要让温州人输得体无完肤。
21日,减弱到CAT3的FRED如约而至,风眼逐渐模糊,直径从之前的59KM缩至的20KM,下午更是减弱到9OKT--可怜的CAT2,风眼则完全填塞。晚20:00,人老珠黄的FRED来到南麂列岛附近,然而岛上的风速计依然传来10分钟平均风速41M/S和956.7HPA(一说944HPA)的气压极值,而北麂站平均风速更达46M/S,此后再无数据传出。南麂掀起平均7.3米,最高达9.5米的巨浪,而不远处的大陈岛平均波高达8.5米,最大波高竟达10.6米。
这一切为接下来几个小时内要发生的事情谱写了序曲。
1994年8月21日晚22:30,农历七月十五,台风FRED在温州瑞安梅头镇(今温州龙湾区海城街道)登陆,无须讨论究竟该定以多大强度登陆为恰当,因为骇人听闻的大幕已就此拉开。
当远在玉环的坎门站阵风突破50M/S时,狂风早已夹杂着暴雨倾泻进浙南大地。
首先是大浪。
登陆地附近沿海浪滔普遍高出海岸2~3米,飞云江北岸至乐清湾的巨浪尤甚,局部地段拍岸浪高达12米,离温州市区不远的瓯江口波高达到10米,为有记录以来所未闻者。
1700多艘船只被巨浪打沉,甚至有千吨鱼船被大浪抛进海塘。
紧接着,潮水暴涨。
七月十五的高潮位加上FRED作孽,将浙江沿海的潮位全部拉高一遍,瑞安和温州港的潮位分别超过历史实测最高潮位0.21米和0.65米,龙湾区潮位达到200年一遇。
在FRED登陆前后的几个小时里,温州沿海所有区县的一线海塘几乎全线崩溃,二线海塘决囗无数,三线海塘也不同程度进水。
海水势不可当地涌入这片富饶而人口密集的土地,开始了大屠杀。
温州市百余公里的海岸线纵深1公里内尽成泽国,尤其是4年前才刚刚泛滥的飞云江又一次发威,江水混杂着潮水淹没了其以北纵深7公里的土地,最深处超过3米,瑞安市区全部被水淹没,农村地带不知多少人在睡梦中被潮水冲走,或被狂风掀起了屋顶、吹倒了庐舍。瓯江水位也随暴雨猛涨,伴随着外边高涨推进的海水,轻而易举地吞噬了保卫温州市区的脆弱海塘,温州市区最繁华地段的潮水立刻涨至1.5米-2.5米,居民家及商埔损失惨重。
温州机场候机大厅进水1.5米深,彻底瘫痪达两个星期之久,潮水和洪水淹没了一切可以淹没的东西,陆地上看不到平原的踪迹。
更令人瞠目的是,位于瓯江囗的灵昆岛、江心屿、七都岛竟被高于地平面2-3米的海潮淹没,据传岛上死伤无数,直到第二天潮水退却才重见天日,这情景无异于一场海啸袭击!
崎头洋、温州湾的汹涌波涛与飞云江、瓯江的暴怒洪魔,让8月21日夜-22日晨的温州沿海上演了惨绝人寰的人间悲剧,即便是5612号台风也没有做到让如此多的海塘在同一时刻灰飞烟灭。
若是一个局外人看来,他一定会得出结论:浙南正在发生大规模海侵。
确实,潮水到处,房子倒了,桥梁塌了,路基冲毁了,养殖户更是血本无归——在如此滔天巨浪之下能够幸存本身就是一种奇迹。
与此情此景相对应的,是一串令人无言的数据。
是日夜,温州全市沿海122.6公里长的标准海塘有近50%被不同程度损坏,其中27.23公里被潮水全线推平,所谓的标准海塘竟是如此脆弱!
而普通海塘仅有20%保存完好,三分之一墙被冲刷得连模子也找不到。
颇令人无奈的是,登陆点梅头镇在半个月前刚刚建成的20年一遇海堤,在9417的狂潮中全毁。
在潮水无法淹到的地方,狂风和暴雨引发的泥石流等灾害便开始唱主角。
FRED积聚已久的水汽撒遍华东华南各地,乐清日降水量砩头达620毫米,打破了5612号台风WANDA保持了38年之久的全省记录。
温州市区测得42M/S阵风,而温州机场的阵风亦在50M/S以上。据说飞云江边曾经有瓦片玻璃满天飞的景象,更有造船厂内未完成之铁船被刮至居民楼。
简易平房在狂风中被肆无忌惮地撕毁,无数人在残存的家中度过了这个惊心动魄而永生难忘的夜晚。
可惜,这些也只是被用来确认FRED的强大威力——FRED的狂风和暴雨只是21日午夜最后的点缀与注脚,当FRED携带着茫茫海潮将万物吞噬的时候,一切皆成枉然。
“致命的北跳”!

1996年9月5日08时9615号台风“莎莉”(Sally)在菲律宾以东的西北太平洋洋面上(135E,13°N)发展成热带低压,9月6日08时加强为热带风暴,20时进一步增强为台风,稳定向西北偏西方向移动,9月8日08时穿过巴布延海峡并进入南海,夜间强度开始减弱,于9月9日11时前后在广东省湛江市吴川市吴阳镇沿海地区登陆,登陆后穿过吴川、湛江市区、遂溪和廉江后,13时前后进入北部湾,14时前后在广西北海市沿海二次登陆,登陆后再次进入北部湾海面,19时前后在广西防城港沿海第三次登陆,随后消散在云南省和中南半岛附近。

超强台风芸妮(英语:TyphoonWinnie,国际编号:9713,台湾编号:9714,中国大陆编号:9711,联合台风警报中心:14W,菲律宾大气地球物理和天文管理局:Ibiang),是1997年8月在西太平洋生成的一个热带气旋,对中国大陆和台湾等造成了严重的影响,造成“八一七风灾”。
2000年08月18日20时,一热带低气压在雅蒲岛西北海面上生成。
08月19日14时,该热带低气压增强为热带风暴,日本气象厅将其并命名为碧利斯。
08月20日02时,碧利斯增强为强热带风暴。
08月20日20时,碧利斯在菲律宾吕宋岛东北面增强为台风,最高持续风速为110kt(约204km/h×57m/s)。
其后碧利斯转向西北偏西移动,直趋台湾,同时在良好的大气环境下稳定地增强。
08月22日22时30分,在台湾台东县成功镇附近沿海登陆。
08月23日03时30分,在云林县附近进入台湾海峡。
碧利斯并没有受台湾中央山脉的严重破坏,出海时仍达台风强度。
08月23日12时,在福建省厦门市围头湾附近沿海第二次登陆。
随后,碧利斯继续向内陆推进并迅速减弱。
14时,碧利斯减弱为热带风暴。
20时,碧利斯减弱为热带低气压。
随后它受西风槽影响,逐渐转向东北偏北移动。
08月26日02时,碧利斯在黄海转化为温带气旋。
08月27日14时,在朝鲜黄海南道延安郡附近沿海登陆。
20时,完全消散。


台风“伊布都”移动路径图
伊布都增强为一个台风后在7月22日穿越吕宋,当晚进入南海。
7月24日早上在阳江附近登陆,并在当日下午减弱为一个强热带风暴。
伊布都于7月25日清晨在内陆继续减弱为一个热带风暴,当日中午减弱为低压区。

2004年,一热带扰动在8月5日在西北太平洋上形成,NRL热带气旋中心给予其扰动编号为98W。
98W随后缓缓发展,组织逐步好转,并朝西推进。
98W于8月8日早上发展为一热带低气压,联合台风警报中心(JTWC)给予其临时编号为16W。
当时16W位于季风槽内,并受到相关之微弱西南气流影响,缓慢地转向东北方向移动,并在不错的大气环境下增强。
当晚16W增强为一热带风暴,日本气象厅把其命名——云娜。
2004年8月9日,云娜转向偏北的方向推进,并于下午增强为一强热带风暴,并渐渐发展出一“中心密集云团区(CDO)”。
2004年8月10日,云娜转向西北至西北偏西移动,迫近台湾。
当晚,云娜进一步增强为一台风,中心发展出一浑圆而且清晰的风眼。
云娜随后继续以时速15公里向西北方向推进,朝向台湾。
2004年8月11日,中央气象局于早上11时30分发布“海上陆上台风警报”。
2004年8月12日下午,云娜强度达至颠峰,并中心风力达至150km/h,达到强台风等级,气压为950kPa其颠峰强度维持了约6小时。
当晚20时,云娜于浙江温岭石塘镇和乐清虹桥镇蒲岐沿海先后二次登陆,因而迅速减弱。
当晚系统组织显著转差,风眼亦被填塞。
2004年8月13日清晨,云娜转向西北偏西移动并减弱为一强热带风暴,并进一步于中午减弱为热带风暴,并于下午减弱为一低压区。

2005年7月12日,“海棠”在关岛东北洋面上生成。
2005年7月13日20时,加强为强热带风暴。
2005年7月14日14时,加强为台风。
2005年7月17日下午,日本石垣岛首先进入暴风圈。
晚间,台湾岛进入暴风圈的范围。
2005年7月18日上午,“海棠”在台湾花莲北部登陆,其气流使于位背风面的台东地区出现了温度高而湿度低的焚风效应。
14时50分,“海棠”自宜兰县苏澳镇东澳附近登陆,22时左右自苗栗县后龙镇出海。
2005年7月19日17时10分,海棠在福建省连江县黄岐镇登陆,暴风圈逐渐缩小。
2005年7月20日早晨,在福建省南平市境内减弱为热带风暴。
下午,台风“海棠“登陆江西,造成大到暴雨天气。
晚间8点钟,据中央气象台消息,台风“海棠“正式停止编号,并减弱为低气压。
2005年7月21日,台风“海棠“的残余气流登陆湖南,造成大部分地区出现降雨天气。

台风海棠[2005年第5号超强台风]

路线图
2005年8月1日在菲律宾东方的海面上形成。

台风行经台湾东北之后,在中国浙江登陆,并继续北上至江苏及山东,转化为温带气旋。
8月26日14时,美国联合台风警报中心将位于雅浦岛东北方向的一个低压区升格为热带低压,并给予编号13W。
8月27日8时,日本气象厅将其升格为热带风暴,给予国际编号0513,并命名为“泰利”。
与此同时,联合台风警报中心亦将其升格为热带风暴。
8月28日14时,菲律宾大气地球物理和天文管理局将其命名为lsang。
8月30日2时,泰利达到了其生命史中的巅峰强度:135kt的风速与920百帕的最低气压。
9月1日上午7时30分左右,泰利在中国台湾省宜兰、花莲市沿海登陆。
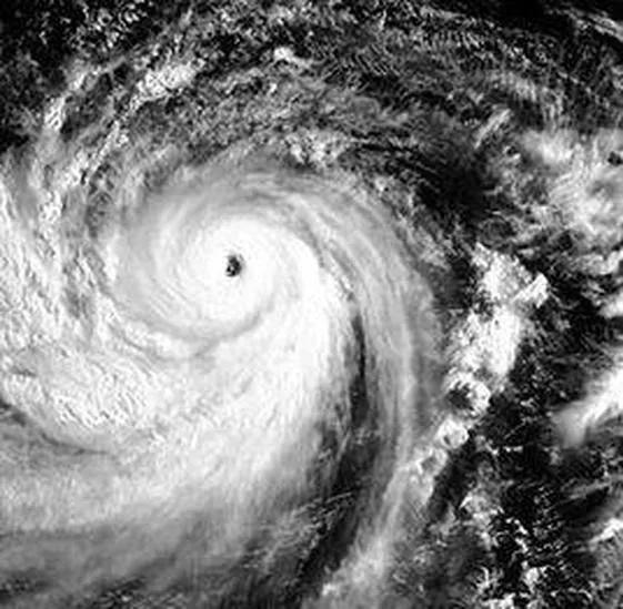
台风泰利在登陆台湾之前的卫星云图。

9月1日14时30分,泰利在中国福建省莆田市平海镇登陆,登陆时为台风级(12级,35米/秒)9月2日14时,日本气象厅将其降格为热带低压。9月3日,中央气象台对其停止编号。

2005年9月7日0时在菲律宾以东的西北太平洋洋面由热带低气压升级为热带风暴,并稳定向西北方向移动。
9月7日18时发展为强热带风暴。
9月8日18时加强成为台风。
9月11日6时50分(UTC)在中国浙江省台州市路桥区金清镇登陆。
登陆时中心气压945hPa,近中心最大风速50m/s并维持了3小时以上,登陆后强度减弱的缓慢程度非常罕见。
9月11日15时减弱为强热带风暴,同日21时再减弱为热带风暴。
9月12日15时减弱为热带低压。
9月13日0时在黄海转化为温带气旋,其残余于同日12时在韩国忠清南道泰安郡附近消散。

9月21日清晨于碧瑶东北偏东约310公里的太平洋上发展成为一个热带低气压,并向西北移动。
同日早上它增强为一热带风暴,然后掠过卡加延省圣安娜。
次日达维于南海转向偏西路径移动,大致朝向海南岛。
它在穿越南海北部期间,逐渐增强成为一个台风。
达维于9月26日于海南省万宁市山根镇登陆,翌日在越南清化省广昌县登陆。
达维最终于9月28日在缅甸消散。

台风龙王
龙王前身的风暴于9月26日在日本硫黄岛东南偏南335海里处形成;同日上午8时,联合台风警报中心开始为这风暴发出警报。
9小时后,它增强为热带风暴(约相当于台湾的轻度台风),并被命名为龙王。
在9月27日上午9时,联合台风警报中心再把它升级为台风。
龙王其后持续增强,以西北偏西的移动方向朝向台湾。
菲律宾大气地理天文部门于9月29日将此风暴命名为Maring作菲律宾当地警报用途。
如以萨菲尔-辛普森飓风等级叙述,超强台风龙王是先于9月27日增强为2级台风,同日再增强为3级台风。
翌日下午1时,这风暴继续增强为4级飑风(台风)。
不过随后强度逐渐减弱,于9月30日下午5时,龙王被降级为台风。
龙王于10月2日上午5时10分于台湾花莲县丰滨乡登陆,登陆时花莲气象站测出了每秒64.9米(相当于17级以上)的最大阵风,打破花莲气象站有史以来的纪录。
同日10时于彰化县浊水溪口附近进入台湾海峡,再由金门附近进入福建省泉州市南安市石井镇。
由于同年稍早已有于台湾中央气象局分级为强烈台风的台风海棠、台风泰利吹袭台湾,龙王继之而来,也使台湾本年继1994年后,首次于同年间对3个以上强烈台风发布陆上台风警报。
海棠、泰利及龙王3个台风皆登陆台湾,也是自1965年以来,第一次在一年内有3个强烈台风登陆台湾。

“珍珠”的前身是2006年5月6日5时联合台风警报中心升格的热带低压02W。
5月9日14时,日本气象厅将其升格为热带风暴,并将其命名为“珍珠”,20时中央气象台将其升格为热带风暴。
之后珍珠在05月11日登陆菲律宾。
台风珍珠在5月12日离开菲律宾而进入南海。随后迅速加强为强台风(50m/s)并转向正北。
5月18日01点20分台风“珍珠”登陆广东汕头南澳岛,中心附近最大风力35m/s(台风级)。
随后迅速减弱。
当日14时,联合台风警报中心将其降格为热带低压,20时,中央气象台认为其已减弱为热带低压并变性为温带气旋,对其停止编号。

直至19日8时日本气象厅才认为其转化为温带气旋并停止编号。

2006年8月初,西北太平洋海洋上几乎遍布着热带扰动。
最早发展起来的是位于日本列岛东南硫磺岛以东近千公里的扰动90w,紧随其后的是位于关岛东南的99w和台湾以东海域的91w。
其中99w就是后来的台风“桑美”。
这3个扰动早在8月2日后就先后发展,其中99w早期活跃于近赤道海域,并在发展中向西北移进。
8月4日,90w与99w率先发展,并在当天相继被日本气象厅(简称JMA)升格为热带低压。联合台风警报中心(以下简称JTWC)则在8月5日上午就将99W升格为热带风暴。
而后日本气象厅在当天20点做编号处理,其中90w被命名为台风玛莉亚(Maria),编号0607;99W迟半小时,编号0608,命名为桑美(Saomai)。
第二天(8月5日)下午,91W被命名为台风宝霞(Bopha),中央气象台也在其后对三个风暴升格为热带风暴,三台追逐正式开始。
“桑美”形成后12小时,大致都稳定向西北移动,偶有向北偏西移动。
2006年8月6日上午8点,位置在关岛附近的13.8°N144.2°E,8月7日2时,中央气象台将“桑美”升格为强热带风暴,同时日本气象厅将其升格为强热带风暴。
之后“桑美”对流日益强盛,并有发展中心密集云区(CDO)的趋势。
7日凌晨,“桑美”逐渐横过北马里亚纳以西,并向琉球群岛移动。
7日8时,联合台风警报中心将其升格为台风,14时,中央气象台将桑美升格为台风,同时日本气象厅也将其升格为台风。
在之后的1天,“桑美”的强度被中央气象台一直定在35m/s,联合台风警报中心叶将其强度定在75kt,发展比较缓慢。
但“桑美”一直保持着每小时30km的快速移动速度,逐渐追上了生成位置偏西的台风“宝霞”。
8日,“桑美”开始出现向西北偏西移动迹象,进逼琉球群岛。
“桑美”的增强速度虽然没有明显提升,大体维持气候平均值,但依然在当天被JTWC升格到二级台风。
“桑美”环流开始紧缩,同时低层风眼开始显现,对流日益强盛,核心区紧密,眼墙进一步巩固,是一股环流半径在300~400km的中型热带气旋。
而此时“桑美”和“宝霞”的位置已经相当接近,二者发生了明显的藤原效应。
台风“宝霞”的强度在增强后迅速减弱,并改为向正西方向前进。
8日夜间,“桑美”逐渐进入130°E线,此时“桑美”的环流进一步缩紧,变成一股小环流气旋,眼墙结构建立完整,低层风眼清晰。良好的环境使得“桑美”在进入9日后高速增强,并且,藤原效应使“桑美”吸收了“宝霞”的水汽,这更加有利于它的增强。
9日凌晨到上午,“桑美”风眼逐渐打开,随后中国气象局提升了“桑美”的强度,达到40m/s。
11时,进一步将其升格为强台风。之后“桑美”风眼继续清晰化。
18时,中央气象台将“桑美”升格为超强台风。
9日中午桑美进入24小时警戒线。

随后,“桑美”的强度继续增强,9日夜间,“桑美”被中央气象台认定为60m/s的超强台风,JTWC也给出当年度的封顶强度140kt,属于其下台风强度分级的五级超强台风,日本气象厅也给出了105kt的评价,属于其下属分级的“猛烈台风”。
“桑美”在9日夜间以西北西的移向从琉球群岛南部通过,9日21时,桑美位于中国钓鱼岛以东近百公里的海面。
10日16时30分,距离“桑美”登陆50分钟,苍南阵风录得68m/s,气压938.2hPa;平地福建台山录得70.8m/s,而福鼎合掌岩录得风速75.8m/s,成为了福建最高风速,中国第二风速。
17时,联合台风警报中心将其风速降为130kt,但事实上,陆上的风力有增无减。
8月10日17时25分“桑美”以巅峰风速登陆苍南马站镇,登陆时中心附近最大风力强度17级(60m/s,超强台风级),中心最低气压920百帕(后在“最佳路径”中改为925百帕)。
此日适逢农历七月天文大潮期,在温州鹤顶山风力发电站测得的81m/s的最大阵风,成为中国第一风速。海军护卫艇遭遇桑美,测风仪超出强度全部失灵,所有的测风仪都到达了上限75m/s。
桑美很小的环流意味着巨大的气压梯度,距离登陆地点不过30公里的霞关16时本站仅测得气压963.6hpa。
登陆后2小时,10日19时中央气象台将桑美降格为强台风,并移入福建省福鼎市境内,当日23时,它的7级风暴风半径100公里,10级风暴风半径30公里,穿过福建北部,21时30分,中央气象台将其降格为台风,23时进一步将其降格为强热带风暴,11日2时降格为热带风暴并进入江西省(5时中心气压为995百帕,近中心最大风力8级,即20米/秒),此时日本气象厅将其降格为强热带风暴。
8时,联合台风警报中心将其降格为热带风暴,而日本气象厅则直接将其降格为热带低压。
9时,中央气象台将其降格为热带低气压(此时中心位于弋阳县境内),16时移到新建县,12登日凌晨从江西瑞昌移至湖北省阳新县,12日上午8时,联合台风警报中心认为其已减弱为热带低压,并对其发出最后警报,中央气象台认为其已经减弱为低压区,已经很难确定其环流中心,并对其停止编号。
在事后发布的“最佳路径”中,联合台风警报中心将其升格为一级台风的时间提早了12个小时。
而中央气象台将登陆地点由马站镇向南调整至霞关镇。

一个低压区于2007年8月12日在马尼拉以东约1,600公里增强为一个热带低气压,初时向西南偏西移动。
8月13日凌晨增强为热带风暴并命名为圣帕,当晚迅速增强为强烈热带风暴。
8月14日进一步增强为台风。
圣帕增强为台风后于8月15日转向西北偏西移动,翌日下午转向西北偏北移动。台风圣帕于8月15日20时达到颠峰程度16级,形成超强台风,风力最强时曾一度达到17级以上,超过“桑美”量级,每小时风速高达200公里,同时圣帕亦出现拥有双重眼壁并进一步逼近台湾。

8月16日20时中心位置在台湾省台东东南方约630公里的洋面上,近中心最大风力17级以上,风速65米/秒,台风7级风圈半径400公里,台风10级风圈半径180公里。
圣帕于8月18日凌晨4时减弱为强台风,5时40分在中国台湾花莲秀姑峦溪口附近沿海登陆。
11时,强台风“圣帕”位于中国台湾省南彰化县境内(北纬23.9度、东经120.4),中心附近最大风力14级(45米/秒)。
台风圣帕穿越台湾及台湾海峡。
8月19日凌晨减弱为强烈热带风暴,19日2时在福建惠安登陆并减弱为热带风暴,登陆时近中心最大风速33米/秒,风力12级。
19日晚上在福建省永安市境内减弱为热带低压。
8月20日凌晨3点钟前后其中心由福建西部进入江西省黎川县境内。
由于“圣帕”强度减弱为一个低压区,中央气象台于20日上午八点钟对其停止编号。
浣熊于4月13日在菲律宾棉兰老岛以东形成,进入南中国海后迅速增强,16日由日本气象厅升格为台风,18日强度达到其巅峰并转向北移动,在海南东面海域近距离掠过(中国中央气象台认为在当晚10时半在海南岛文昌市龙楼镇登陆)。
浣熊登陆前迅速减弱,最终以强热带风暴的下限强度(每小时90公里)于19日下午登陆广东省阳江市阳东县东平镇。
台风影响范围主要包括海南、广东、香港和澳门地区。


台风黑格比[2008年第14号台风]
在2008年9月18日,一个热带低气压在关岛之西北形成。
翌日,联合台风警报中心将它升格为热带风暴。
其后在13时30分,日本气象厅升格为热带风暴并命名为黑格比。
9月20日01时15分UTC,日本气象厅升格为强烈热带风暴。
同日12时50分日本气象厅再将之升格为台风,15时联合台风警报中心升格为台风。
9月21日8时,当时位置于北纬16.1度、东经127.4度,最高持续风速达每小时100公里。
17时台湾中央气象局将轻度台风黑格比升格为中度台风,以时速30公里向西北方向移动,穿越巴士海峡。
9月22日香港时间晚上7时,台风黑格比集结在香港之东南偏东约790公里(即在北纬19.5度,东经121.2度附近),以时速30公里向西北偏西移动进入南海。
9月23日香港时间上午10时,黑格比集结在香港之东南约380公里,以时速约28公里向西北偏西移动靠近广东省沿岸。
16时黑格比集结北纬20.3度、东经115.1度位置,时速30公里向西北偏西移动,中心最高风速每小时175公里。
9月24日0时,黑格比在在北纬20.8度,东经113.1度附近以时速约28公里向西北偏西移动。
在9月24日6时45分(UTC+8)在广东省电白县陈村镇沿海登陆,登陆时中心最大风力有15级(48米/秒/每小时175公里)。
登陆后在廉江市境内减弱为台风,在同日下午2时于广西壮族自治区北海市合浦县境内减弱为强烈热带风暴,同日下午8时减弱为热带风暴。
9月25日2时,黑格比进入越南境内并减弱为一热带低气压,并于同日晚上消散。

2010年10月11日,热带扰动90W于关岛西南处水域形成。翌日12时被日本气象厅升格为热带低压。
10月12日联合台风警报中心也为90W升格为热带低压,为其本年记录第15个于西太平洋生成的热带气旋(15W)。
同日下午,JTWC为15W升格为热带风暴,而JMA也于晚间为15W升格为热带风暴,并命名“鲇鱼”。
15日下午被香港天文台升格为一股台风。
16日晚上升格为强台风。
17日日出前香港天文台升格为超强台风。
在10月18日上午6时,JTWC给予1分钟平均风速为160海里/小时、CWB资讯为十分钟平均风速65米每秒,气压895hPa、JMA给予10分钟平均风速为125海里/小时,气压885hPa、CMA给予2分钟平均风速为72米/秒,气压895hPa。
日本气象厅表示鲇鱼10分钟平均风速125海里/小时和台风中心气压885hPa(18日早上8时),成为自1982年8月的台风贝芙(Bess)和1984年10月的台风云妮莎(Vanessa)以来,西北太平洋地区风速最高气压最低的台风。
10月18日上午11时,鲇鱼登陆菲律宾吕宋岛东北部,对当地造成重大破坏,其风眼甚至在登陆后亦未立即消失,足见其威力惊人。
后来鲇鱼结构受损,强度大幅下降,香港天文台把鲇鱼降级为强台风。
10月19日,鲇鱼离开菲律宾,进入南中国海,不久后重新增强为三级台风。
但鲇鱼在南海缓慢北移,并再次转趋减弱,香港天文台在10月22日傍晚把鲇鱼降格为台风。进入南海后鲇鱼先向西推进,之后转向北或西北偏北移动。
鲇鱼在10月23日下午1时10分登陆福建南部。
10月23日被日本气象厅降格为强热带风暴,CWB并在24日2时降格为热带低压,联合台风警报中心亦于10月23日9时(UTC)发出最后警告,在24日已于福建省漳[zhang]州市消散。
其后,于香港天文台所发布的《2010年热带气旋年刊》中,香港天文台把鲇鱼的接近中心最高持续风速上调为每小时270公里。


强台风“纳沙”于2011年9月24日上午在西北太平洋洋面上生成,25日5时“纳沙”加强为强热带风暴,夜间加强为台风,26日夜间加强成为强台风,27日早上7时前后在菲律宾吕宋岛东部沿海登陆,27日上午减弱为台风,29日7时再度加强成为强台风。
两度登陆中国第17号强台风“纳沙”的中心于9月29日14时30分前后在海南省文昌市翁田镇沿海登陆,登陆时中心附近最大风力有14级(42米/秒),中心最低气压为960百帕。
受其影响,海口全市中小学停课,铁路多次列车停运,美兰机场取消多个航班。另据消息,台风“纳沙”也严重影响到香港澳门,港交所全天休市,澳门内港出现海水倒灌。
第17号强台风“纳沙”以台风的级别于29日21时15分在广东省徐闻县角尾乡沿海地区再次登陆,登陆时中心风力12级。
给广东带来大风、暴雨、大浪和风暴潮。
“纳沙”于9月30日早晨5点钟减弱为强热带风暴,上午8点钟,中心位于北纬21.0度,东经108.0度,也就是在广西东兴偏南方约60公里的广西近海海面上,中心附近最大风力11级,风速达到30米/秒。
预计“纳沙”中心将以15公里左右的时速向广西和越南交界附近沿海靠近,并将于30日下午在上述沿海地区登陆,强度缓慢减弱。
强热带风暴纳沙30日上午11时30分前后,在越南北部广宁沿海地区登陆,登陆时中心附近最大风力11级,风速达到30米/秒。
下午2点钟纳沙减弱成为热带风暴,中心位于北纬20.9度,东经106.7度,中心附近最大风力9级,风速达到23米/秒。7级大风范围半径150公里,强度继续减弱。
中央气象台消息,2011年第17号热带风暴“纳沙”于9月30日20时在越南北部减弱为热带低压,预计“纳沙”强度将继续减弱,对我国的影响趋于减小,因此,中央气象台于30日20时对其停止编号。


2012年7月17日至18日,一对流区在菲律宾东方海面脱离强烈热带风暴卡努环流并独立发展为低压区92W。
2012年7月18日下午9时,日本气象厅将92W升级为热带低气压。
2012年7月20日上午9时,日本气象厅发出烈风警告。中国香港天文台在上午7时45分表示“一个热带低气压似乎在形成中”,在下午1时,把该低压区升级为热带低气压。
下午4时,联合台风警报中心发出热带气旋形成警报。
7月20日稍晚,联合台风警报中心把92W升级为热带低气压,给予编号09W。
2012年7月21日,日本气象厅命名为“韦森特”,给予国际编号1208。
中国香港天文台亦在下午11时45分把韦森特升为热带风暴。
2012年7月22日,赤道反气旋出现,与副热带高压脊形成鞍形场。
夹在中间,失去引导气流而明显减速移动,在中国香港之东南偏南约350公里停滞不前;但移动缓慢之时亦有所加强。
2012年7月23日上午3时45分,中国香港天文台升为强烈热带风暴。
上午10时,中央气象台升为台风,升级前35分钟南海一个接近此风暴中心的石油平台曾经测得36.7米每秒的两分钟平均风速。
下午1时55分,中国香港天文台升格为台风。
下午11时45分,中国香港天文台表示此热带气旋急剧增强,升格为强台风。
联合台风警报中心将此风暴由一级台风直接升格为四级台风。
2012年7月24日上午4时15分,台风韦森特在中国台山市赤溪镇沿海附近登陆,中国香港天文台在上午4时45分降级为台风。
台风韦森特改向西北偏西移动,并加速至每小时24公里。
中国香港天文台在上午9时45分降为强热带风暴,下午2时45分把韦森特进一步降为热带风暴,在下午11时20分把台风韦森特降为热带低气压,在下午再改向西南偏西移动。
2012年7月25日,台风韦森特改向西南移动,进入越南北部,维持强度至中午过后。
中国香港天文台在下午4时15分,把台风韦森特降级为低压区。

2012年8月23日7时台风“天秤”加强为强台风,7时其中心位于台湾鹅銮鼻东偏北约310公里的西北太平洋洋面上,即北纬22.5度,东经123.7度,14级(42米/秒),955百帕。过去6小时,“天秤”向偏西方移动了大约20公里。
“天秤”将以每小时5-10公里的速度向偏西方向移动,逐渐向台湾东南部一带沿海靠近,强度将有所加强,24日登陆台湾东南部一带沿海。

2013年9月下旬,西北太平洋洋面水温异常高,在菲律宾以东洋面和关岛以东洋面热带扰动频繁。
2013年9月27日,一个热带扰动在帕劳北部海面上生成。
同日凌晨,美国海军研究实验室给予扰动编号95W。
上午6时,联合台风警报中心对其在24小时内形成为热带气旋的机会给予“LOW”的评级。
上午8时,日本气象厅将其升格为低压区。
下午2时,联合台风警报中心将发展机率升级为"MEDIUM"。
8月9日下午4时,由于扰动云系快速整合,并明显地产生螺旋性,联合台风警报中心发布热带气旋形成警报。
凌晨2时,日本气象厅对其发布烈风警报。
凌晨5时,联合台风警报中心将其升格为热带低气压,并给予编号11W。
香港天文台在凌晨4时45分表示“一个低压区正为菲律宾以东海域带来不稳定天气”,并在早上7时45分表示“菲律宾以东海域气压颇低,一个热带低气压似乎在形成中”,最后在下午4时正把该低压区升格为热带低气压。
8月10日凌晨3时05分,日本气象厅将其升格为热带风暴,并命名为“尤特”。
此后“尤特”爆发增强,于短短半日之内由热带低气压,连升三级成为台风。
凌晨3时45分,香港天文台把“尤特”升格为热带风暴。
上午5时,联合台风警报中心将其升格为热带风暴。
上午11时45分,日本气象厅及香港天文台同时把“尤特”升级为强热带风暴。
下午2时50分,日本气象厅将其升格为台风。
下午3时45分,香港天文台把“尤特”升格为台风。
下午5时,联合台风警报中心将其升格为一级台风。
下午11时,联合台风警报中心将其升格为二级台风。

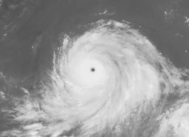
台风尤特第一次巅峰卫星云图
2013年8月11日,尤特增强趋势一度放缓,但接近中午开始再度急剧增强。
上午11时,联合台风警报中心将其升格为三级台风。
上午11时45分,香港天文台把尤特升格为强台风。
尤特在下午发展出一个成熟、细小的风眼。
下午5时,联合台风警报中心将其升格为四级台风。
晚上9时半,香港天文台把尤特升格为超强台风。
此时候的尤特环流完整,覆盖范围较小。
由于接近陆地,尤特开始减弱,风眼亦被填塞。
8月12日上午3时,尤特在菲律宾奥罗拉省卡西古兰沿海登陆。
尤特穿越吕宋,期间强度减弱,但由于移速较快,减弱幅度比其它穿越吕宋的台风为少。
凌晨4时45分,香港天文台把尤特降格为强台风。
上午11时,联合台风警报中心将其降格为二级台风。
尤特在8月12日中午进入南海。由于吸入西南季风,尤特的云系增加,但主要集中于中心西南方。
但尤特重整环流迅速,于下午即完成修补北面不足的环流。
同日晚上,尤特再次发展出风眼,但此风眼属于云卷性质,所以在午夜即被填塞。
在8月13日凌晨至日出前,尤特再次大量吸收西南气流,并因为辐散及辐合极佳,使得环流扩展并变得扎实,亦于凌晨再次发展出一风眼,于可见光云图上可清晰看见,而红外光云图上亦可看见,但形状较差,而且红外光云图上亦曾经显示出有“闭眼”的情况。
此时候尤特的移速已比出海时减慢,但持续稳定向西北偏西方向行走。
香港天文台于“为船舶提供的热带气旋警告”中表示“风速超过每小时33海里之半径范围”达到180海里,即335公里,相比其它强度近似的台风为大。
上午11时,联合台风警报中心再度将其升格为三级台风,并提到“于中国内陆的冷心低压为尤特带来空气流出的通道,并帮助尤特增强。”
同日下午2时至4时,尤特几乎停滞不动,但对流向外扩散,使中心附近对流减少,风切变亦少许增强。
而尤特亦采取一个偏西北的路径。
2013年8月14日,尤特改向西北偏北移动,但其眼壁结构突然无故崩解,尤以东北面为甚。
香港天文台在下午2时45分把尤特降级为台风。
下午3时50分,尤特在中国广东省阳江市阳西县溪头镇沿海再度登陆。
尤特继续往西北或西北偏北方向移动。
下午5时,联合台风警报中心将其降格为一级台风。
晚上8时55分,日本气象厅将其降格为强热带风暴。
晚上11时,联合台风警报中心发出最后的警报。
但在活跃偏南气流提供水汽的情况下,登陆后的尤特的南面环流仍然扎实,为登陆点南面(阳江、雷州半岛)等地带来大雨。
越南附近陆上有高压区形成,与副热带高压脊形成鞍形气压场。
尤特在登陆后至当日晚上改为采取偏西路径,并因处于副热带高压脊及越南附近高压区的鞍形气压场内,不断减速移动。
香港天文台在晚上11时45分把尤特降级为强热带风暴。
2013年8月15日,尤特改为采取北移路径。
凌晨2时50分,日本气象厅将其降格为热带风暴。
香港天文台在凌晨5时45分把尤特降级为热带风暴。
此后继续减速,移动变得缓慢;而由于活跃偏南气流继续提供水汽,令尤特南面持续出现对流,尤特减弱趋势亦放缓。
天文台在下午3时半才再把尤特降级为热带低气压。
晚上8时45分,日本气象厅将其降格为热带低气压。
但此后尤特减弱速度仍然较慢,天文台在8月16日早上6时15分才把尤特降级为低压区。

中国气象台发布尤特路径图

天兔
2013年9月18日,“天兔”将东南方的云带卷入中心附近,使得中心得以巩固。
随后,日本气象厅和香港天文台将其升格为强热带风暴。
20时,台湾中央气象局将其升格为中度台风。
随后,日本气象厅和香港天文台将其升为台风。
2013年9月19日,“天兔”急剧增强。
上午5时,联合台风警报中心将其升格为二级台风。
香港天文台在12时45分把“天兔”升为强台风。
13时开始,“天兔”发展出一个完整而细小的风眼。
17时,联合台风警报中心将其由二级台风调升为四级台风。
香港天文台在18时45分把“天兔”进一步升为超强台风。
台湾中央气象局则在21时25分把“天兔”进一步升为强烈台风。
23时,联合台风警报中心将其升格为五级台风。
随着鞍形气压场瓦解,“天兔”开始向西北移动,时速12至14公里。
“天兔”强度在上午达到巅峰,中午时分开始发展“双重眼壁”现象,导致“天兔”稍作减弱。
17时,联合台风警报中心将其降级为四级台风。
9月22日19时40分,强台风天兔的中心在中国广东省汕尾市南部沿海登陆,登陆时中心附近最大风力14级(45米每秒),中心最高持续风速每小时162公里,登陆后继续西北行深入内陆进一步减弱。
2013年9月23日中午进入广西境内风力持续减弱,很难确认其环流中心,中央气象台随后对其停止编号。

2013年9月下旬,西北太平洋洋面水温异常高,在菲律宾以东洋面和关岛以东洋面热带扰动频繁。
2013年9月27日,一个热带扰动在帕劳北部海面上生成。
同日凌晨,美国海军研究实验室给予扰动编号95W。
上午6时,联合台风警报中心对其在24小时内形成为热带气旋的机会给予“LOW”的评级。
上午8时,日本气象厅将其升格为低压区。
下午2时,联合台风警报中心将发展机率升级为"MEDIUM"。
9月29日上午7时30分,联合台风警报中心对其发布热带气旋形成警报。
下午3时30分,日本气象厅将其升格为热带低气压,并对其发出海上烈风警报。
下午8时,台湾“中央气象局”将其升格为热带低气压。
9月30日下午5时,联合台风警报中心将其升格为热带低气压,并给予编号22W。
下午9时30分,日本气象厅将其升格为热带风暴,并命名为“菲特”。
“菲特”于10月1日17时在西北太平洋洋面上加强为强热带风暴。
“菲特”于10月3日凌晨加强为台风。
“菲特”于10月4日下午加强为强台风。但由于眼墙一直没闭合,导致台风发展停滞不前。
“菲特”于10月7日01时15分在福建省福鼎市沙埕[chéng]镇沿海登陆,登陆时中心附近最大风力有14级(42米/秒),中心最低气压为955百帕。
“菲特”于10月7日03时减弱为台风,04时减弱为强热带风暴,05时减弱为热带风暴,09时在福建省建瓯市境内减弱为热带低压。
由于“菲特”强度明显减弱,已很难确定其环流中心,中央气象台于10月7日11时对其停止编号。
但其残余云系仍将给江苏、安徽、上海、浙江、江西、福建等地造成强降雨。

台风威马逊[2014年第9号超强台风]
2014年7月9日,一个低压区在楚克东部的西北太平洋海面上生成,美国海军研究实验室给予扰动编号92W。
下午1时,联合台风警报中心对其在24小时内形成为热带气旋的机会给予“LOW”的评级。
7月10日上午9时,日本气象厅将其升格为热带低气压。
上午10时,联合台风警报中心对其评级提升为“MEDIUM”。
下午3时,联合台风警报中心对其发布热带气旋形成警报,并将其评级提升为“HIGH”。
晚上10时,联合台风警报中心将其升格为热带低气压,并给予编号09W。
7月11日凌晨3时,该热带低气压组织转好,日本气象厅对其发出烈风警报。
早上8时,联合台风警报中心将其升格为热带风暴。
7月12日凌晨2时,因云带再次变得松散,联合台风警报中心取消早前升格,并把稍前的强度下调为热带低气压。
中午12时,该热带低气压于关岛莺歌沿海登陆。
下午2时,中央气象台将其升格为热带风暴。
同时,中央气象局将其升格为轻度台风。
下午3时,日本气象厅将其升格为热带风暴,并命名为威马逊。
晚上8时,联合台风警报中心将其再度升格为热带风暴。
2014年7月13日凌晨3时45分,威马逊进入香港天文台责任范围,天文台把威马逊强度评级为热带风暴。
晚上7时,威马逊进入菲律宾负责范围,因此菲律宾大气地球物理和天文管理局将其命名为Glenda。
受副热带高压脊影响,威马逊以时速22至25公里的速度西移,一直有对流引发及消散,强度变化不大。
2014年7月14日,威马逊向西南偏西移动,并因环境转好,迅速而显著地增强。
早上8时45分,日本气象厅将其升格为强热带风暴。
上午9时45分,香港天文台将其升格为强热带风暴。
上午11时,中央气象台将其升格为强热带风暴。
下午3时,联合台风警报中心将其升格为一级台风。
下午5时,中央气象台将其升格为台风。
晚上8时,中央气象局将其升格为中度台风。
晚上9时,日本气象厅将其升格为台风。
晚上9时45分,香港天文台亦将其升格为台风。
此时的威马逊螺旋性大大变好,令对流得以集中并维持。
2014年7月15日,威马逊延续其增强趋势,并恢复西移路径,登陆前更急剧增强。
下午2时,中央气象台将其升格为强台风。
同时,联合台风警报中心将其直接升格为三级台风。
下午3时,威马逊的细小风眼显现。
下午3时半,香港天文台将其升格为强台风。
下午5时,威马逊于菲律宾阿尔拜省拉普拉普登陆。
下午6时半,威马逊于菲律宾阿尔拜省塔瓦科再次登陆。
晚上8时,联合台风警报中心将其升格为四级台风。
7月16日,威马逊采取西北偏西移动路径,移动速度维持在每小时22至25公里,穿越菲律宾中部,并进入南海。
午夜12时,威马逊再次于菲律宾奎松省卡塔纳万登陆。
联合台风警报中心在凌晨2时将其降格为三级台风。
早上8时,联合台风警报中心将其进一步降格为二级台风。
同时,中央气象台将其降格为台风。
上午9时半,香港天文台亦将其降格为台风。
下午2时,联合台风警报中心将其降格为一级台风。
因威马逊的移动路径与菲律宾群岛的高山接近,导致部分对流无法越过,导致威马逊的北面眼墙崩溃,出海时几乎没有对流覆盖。
2014年7月17日,威马逊继续向西北偏西移动,移速不变,穿越南海北部。
威马逊进入南海后,受惠于良好的大气环境及高水温,重新增强,气压呈下跌趋势。
早上8时,联合台风警报中心将其再次升格为二级台风。
下午2时,联合台风警报中心又将其再次降格为一级台风。
下午5时,中央气象台再次将其升格为强台风。
下午6时45分,香港天文台亦再度将其升格为强台风。
威马逊重新增强,并在入夜后采取较偏西北路径。
晚上8时,联合台风警报中心又将其再次升格为二级台风。
风眼于晚上8时后再次出现,威马逊已成功将南面对流卷至北面,重新建立稳固、扎实的眼壁。
2014年7月18日,威马逊再度迅速而显著增强,并向西北移动,移速仍然稳定不变,维持在时速22公里。
凌晨2时,联合台风警报中心再次将其直接升格为四级台风(上一个在南海加强为四级台风的热带气旋是2012年台风韦森特)。
凌晨5时,中央气象台将其升格为超强台风,中心附近最大风力每秒52米,最低气压935百帕斯卡。
香港天文台紧随其后,在凌晨5时45分亦将其升格为超强台风。
而中央气象局亦跟进一步,于下午2时将其升格为强烈台风。
威马逊的增强趋势没有停止,反而越来越急剧,像7月15日穿越菲律宾之前一样,临岸急剧增强,直至下午掠过海南东北端前,才达到强度颠峰。
香港天文台则评定其接近中心最高持续风速为每小时210公里;澳门地球物理暨气象局则评定其接近中心最高持续风速为每小时198公里;中央气象局则评定其接近中心最高持续风速为每秒53米,即每小时190公里);但此时威马逊被海南岛地形牵引,改向偏西移动。
当日下午3时半,威马逊以颠峰强度于中国海南省文昌市翁田镇沿海短暂登陆,这标志着威马逊成为继1973年14号台风玛琪后,41年以来登陆华南最强的热带气旋(按中国中央气象台资料,并以登陆时强度计算;而按照香港天文台资料,及同样以登陆时强度计算,威马逊则是继1979年台风荷贝后,35年以来登陆华南的最强风暴)。
下午4时,联合台风警报中心评估威马逊的中心风力为140节(每小时260公里),是为五级台风,并属于该部门的“超级台风”分级,亦是南海罕见的强度。
威马逊在不久后便进入海南和雷州半岛之间的琼州海峡。
晚上7时半,威马逊在广东省徐闻县龙塘镇沿海登陆。
登录时中心最大风力17级(60m/s),打破1996台风莎莉的记录,成为登陆广东最强台风。
由于达到强度顶峰后数小时内便两度登陆,威马逊的颠峰强度只能短暂维持;但已足够重创海南、雷州半岛一带。
当晚较后时间,威马逊转趋减弱,以西北偏西的移动路径,掠过雷州半岛,移入北部湾。
2014年7月19日,威马逊继续向西北或西北偏西移动,穿越北部湾。
凌晨2时,中央气象局将其降格为中度台风。
凌晨2时45分,香港天文台将其降格为强台风。
上午5时,中央气象台亦将其降格为强台风。
早上7时10分,威马逊又于中国广西防城港市光坡镇沿海再次登陆,随后受地形摩擦影响,开始急剧减弱。
上午9时,中央气象台将其降格为台风。
上午11时,联合台风警报中心将其降格为三级台风,并发出最后警报。
上午11时45分,香港天文台将其降格为台风。
下午3时,中央气象台将其降格为强热带风暴。
香港天文台在下午5时半亦把威马逊降为强热带风暴。
下午6时,日本气象厅将其降格为强热带风暴;与此同时,中央气象台更将其降格为热带风暴。
晚上8时,“台湾中央气象局”亦进一步将其降格为轻度台风。
而日本气象厅及香港天文台亦有跟随中国中央气象台,分别在晚上8时50分及晚上9时半将其降格为热带风暴与上一次降级分别只相隔2小时50分钟及4小时;澳门地球物理暨气象局则于晚上10时将其降格为热带风暴。
降格为热带低气压,而香港天文台更在上午9时45分把威马逊降为低压区。
日本气象厅在2014年7月21日将其降格为低压区,但威马逊残余低压区还没消散,继续向偏西方向移动,深入内陆。
2015年6月25日,一个低压区在科斯雷南方海面上生成。
美国海军研究实验室在中午12时给予扰动编号95W。
6月30日上午8时,日本气象厅将其升格为热带低压并发布烈风警报,随后联合台风预警中心也将其升格为热带低压并给与编号09W,晚上9时,日本气象厅将其升格为热带风暴,并将其命名为灿鸿,中国国家气象中心同时将其升格为热带风暴;2015年7月1日,联合台风预警中心将其升格为热带风暴。
7月10日,灿鸿达到巅峰,随后进入东海。
7月11日下午4时40分,中国国家气象中心认定其在浙江省舟山市朱家尖镇登陆。
7月12日晚上11点50分其在朝鲜黄海南道瓮津郡再次登陆。
7月13日凌晨5时,中国国家气象中心停止对其发报。

“苏迪罗”于07月30日20时在西北太平洋洋面上生成,强度逐渐加强,08月02日开始快速加强,08月03日加强为超强台风,尔后达到其巅峰强度17级以上(65m/s);08月08日凌晨,以中心附近最大风力15级(48m/s)在台湾省花莲市登陆,并于同日晚22时以中心附近最大风力13级(38m/s)在福建省莆田市再次登陆,进入内陆后逐渐减弱,08月09日减弱为热带低压,08月10日17时停止编号。

一个低压于2015年9月15日在关岛东北面的西北太平洋上空生成,美国海军研究实验室在早上8时给予热带扰动编号97W,但受到强烈垂直风切变影响,该低压区发展迟缓,螺旋性差劣、结构杂乱无章,只能依赖温度超过摄氏30度的海水勉强组织。
联合台风警报中心在17日凌晨5时才对其在24小时内形成为热带气旋的机会给予评级“低”,直至19日下午3时把上述评级提升至“中”。
随着高空辐散加强,该系统的结构虽仍紊乱,但螺旋性渐变明显,联合台风警报中心在20日凌晨2时把上述评级上调至“高”,并同时发出热带气旋形成警报。
日本气象厅以及台湾中央气象局在早上8时率先将该低压区升格为热带低压,但联合台风警报中心直至翌日(21日)凌晨5时才作出此项升格,并给予编号21W。
杜鹃在9月23日组织相当散乱,低层环流中心暴露,深层对流向西切离,构成高低层分离的现象。
该系统形成一个彻底暴露的低层环流中心,组织持续混乱,对流集中在系统西面;同时系统在副热带高压脊引导下,以时速22至25公里向西或西北偏西移动。
日本气象厅在21日晚上8时对该系统发出烈风警报,但直至23日凌晨3时才正式将该热带低压升格为热带风暴,并命名为杜鹃,给予国际编号1521,台湾中央气象局亦随即将杜鹃升格为轻度台风。
由于系统已获命名,香港天文台紧接在凌晨3时45分表示“位于西北太平洋的低压区已增强为热带低压,并命名为杜鹃”;而联合台风警报中心则在上午11时把杜鹃升格为热带风暴。
虽然杜鹃在上午以时速16公里稳定西进,但是各部门均预测杜鹃在随后数日内将会逐渐转向北移,与琉球群岛保持一段距离,原因是副热带高压脊将会受一道西风槽打击而出现弱点,使杜鹃由此空隙北上。
当日下午杜鹃仍然暴露的低层环流中心改向西北移动,但与此同时杜鹃的深层对流则继续西移,和低层环流中心彻底分离,这反映出垂直风切变仍然强烈,使杜鹃无法整合组织;而联合台风警报中心在下午5时的报告中特别指出,杜鹃的环流内出现多个涡旋。
由于杜鹃的系统高低层分裂情况严重,香港天文台延至当晚9时45分才将杜鹃升格为热带风暴,明显比其余官方气象部门滞后。
该部门及日本气象厅定杜鹃为热带风暴,明显比其余官方气象部门滞后。
该部门及日本气象厅对杜鹃的定位亦更改为贴近杜鹃深层对流的东北角,即在已分离的低层环流中心之西南面(亦因而显得杜鹃出现西南偏西甚或不规则路径),这显示上述的涡旋有所增强,并取代于入夜后逐渐消散的旧中心;然而各部门对杜鹃的定位差异接近100公里,由此可见究竟是哪一个涡旋加强成为新中心,各部门的评估有严重分歧。
正当各部门一致预期杜鹃转向之际,各大电脑数值预报模式对杜鹃的路径预测却出现剧变,尤以欧洲中期天气预报中心的变化最大,由于上述西风槽的强度比原先预期明显较弱,使副热带高压脊出现的弱点不足以让杜鹃突破及北上,该中心将杜鹃的预测路径,由原先完全不会威胁琉球群岛和台湾,突然大幅改动至登陆北台湾一带。
这使得各官方气象部门对杜鹃的预测路径都向西调整,在23日晚上开始预料杜鹃大致向西北推进,穿过冲绳岛与宫古岛之间的海域,与先前的转向路线大相径庭;中国国家气象中心预计杜鹃之后会恢复向偏西移动,直扑台湾东北部海域,联合台风警报中心在翌晨(24日)都作出此预测,之后香港天文台更预计杜鹃将穿越台湾北部,与欧洲中期预报中心的预测大致相同。
环流重整后,杜鹃在9月24日的组织大幅改善,修复外露的低层环流中心,并形成中心密集云团。
经过前一夜的环流重整后,杜鹃的新中心在早上仍然局部外露;不过西北太平洋上的垂直风切变减弱,加上海水仍然炎热,供应庞大能量,使杜鹃显著改善其松散组织,未能成为新中心的涡旋全部消失,与深层对流相关的云带开始包裹新中心,原先缺乏对流的东北、东南象限迅速获填补,使系统结构变得对称,云带很快便组成中心密集云团,更已有迹象发展出“云卷风眼”,是强度进一步上升的先兆。日本气象厅在当日下午2时45分首先把杜鹃升格为强热带风暴,中国国家气象中心和香港天文台分别于下午5时35分及晚上9时45分跟随升格。
西风槽强度虽不如预期,但当日杜鹃只是缓慢西移,甚至原地打转,原因是南海上空受反气旋支配,与西风槽及副热带高压脊形成鞍形气压场,引导气流开始转弱,使杜鹃减速至近乎停滞不前。
各电脑数值预报模式对杜鹃的动向持续有极大落差,根据欧洲中期预报中心的集合预报,杜鹃直趋台湾和中国福建、浙江乃主流,且预测路径遍及整个台湾本岛,而非只集中在台湾北部;其次则是转向逼近琉球群岛,另外有少数预报是研判杜鹃会持续西行,取道吕宋海峡移入南海北部,并吹袭广东省沿岸。
9月25日凌晨,杜鹃一度卷入干空气,使对流云系短暂衰减,但杜鹃的强度未受影响,系统流出持续改善至呈放射状,螺旋云带紧紧包围中心,更打开一个直径约30公里的风眼,只是眼壁较粗糙。
联合台风警报中心在上午10时率先把杜鹃升格为台风,日本气象厅、中国国家气象中心和香港天文台亦分别在下午2时50分、5时正及6时45分作出此项升格,台湾中央气象局也在晚上8时将杜鹃升格为中度台风。
仍然陷入鞍形场内的杜鹃由自身内力带动,在早上初段曾经缓缓北移,后于日间开始采取偏西北路径,时速约12至14公里。
由于副热带高压脊的弱点尚未修复,官方气象部门的预报继续有落差,虽然都集中至台湾附近一带,但是对于会否穿越台湾,还是在台湾北面海域掠过,各部门的分歧仍存在。
26日杜鹃再次卷入干空气,使其西面眼壁曾经有迹象崩塌,但杜鹃的风眼继续在卫星云图清晰可见,强度持续稳步上扬,中国国家气象中心和香港天文台先后在下午2时25分及4时正把杜鹃升格为强台风,更分别在翌日(27日)凌晨5时半及上午9时45分把杜鹃再升格为超强台风。
在26日晚间至27日,副热带高压脊增强和向西伸展,修补先前的弱点,驱使杜鹃改向西北偏西移动,并加速至每小时18至20公里,而杜鹃的眼壁亦渐变平滑和浑圆,是杜鹃进一步加强的证明,台湾中央气象局因而在当日下午5时半将杜鹃升格为强烈台风;此外杜鹃的风眼不断扩大,直径倍增至近80公里。
当晚杜鹃停止增强,因为杜鹃已经到达其身处环境所容许的最大潜在强度;而副热带高压脊的西伸使预报的变数减少,各气象部门的预测渐趋一致,均研判杜鹃将横扫台湾,惟一分别只在于登陆点究竟是宜兰县抑或花莲县。
9月28日上午,杜鹃移速增至每小时25公里,并开始受到台湾地形影响,同时海水潜热供应减少;可是杜鹃未有即时转趋减弱,其巨大风眼直至登陆台湾前一刻才变为模糊不清的“云塞风眼”,而杜鹃眼壁扫过八重山列岛与那国岛时,当地更测得每秒54.1米之持续风速,此项实测数据促使日本气象厅把杜鹃的接近中心最高持续风速再上调至每秒55米(110节,每小时205公里),达到该部门台风级别之“猛烈”程度。
中午过后杜鹃突然进一步加速至时速28至30公里,台湾中央气象局表示杜鹃已于下午5时40分在台湾宜兰县南澳乡登陆,而中国国家气象中心则表示杜鹃在10分钟后(下午5时50分)才登陆宜兰,之后被中央山脉破坏结构而出现环流重整,原有中心改向南移并消散,一个新中心在旧有中心西南面的南投县建立并西移。
杜鹃的巨大风眼旋即被填塞,扎实的眼壁也快速崩解,这标志着杜鹃强度明显下降,巅峰时期至此结束。
中国国家气象中心在下午5时10分把杜鹃降格为强台风,香港天文台在当晚9时半跟随降格,台湾中央气象局亦在晚上11时半将杜鹃降格为中度台风。

1521号超强台风杜鹃路径图
杜鹃在9月29日凌晨1时由彰化县芳苑乡出海,进入台湾海峡。之后杜鹃再次向西北移动,重新贴近副热带高压脊,但移速回落至每小时22公里。台
湾地形对杜鹃的结构造成严重损坏,杜鹃迅速而显著减弱,中国国家气象中心在早上6时正把杜鹃降格为台风,香港天文台亦紧随其后,在半小时之后(早上6时半)作出此项降格。
中国国家气象中心随后表示,杜鹃于早上8时50分在中国福建省莆田市秀屿区登陆。
更于接下来的3小时内把杜鹃连降两级,先在上午10时20分把杜鹃降格为强热带风暴,再于短短个多小时后在上午11时25分把杜鹃进一步降格为热带风暴。
其余部门则评估杜鹃的减弱趋势没有中国国家气象中心所指般急剧,日本气象厅在上午11时45分把杜鹃降格为强热带风暴,香港天文台在45分钟后(下午12时半)跟随降格。

台风杜鹃横扫台湾之际,为菲律宾一带引进活跃的西南季风,并与副热带高压脊所挟带之东北信风汇聚,一个低压区于2015年9月28日在雅浦岛西北面海域上生成,美国海军研究实验室在中午12时给予热带扰动编号90W。
由于垂直风切变[注1]微弱,低层辐合、高空辐散[注3]皆良好,且海水炎热,该低压区很快已经呈现热带气旋的雏形。
联合台风警报中心在翌日(29日)凌晨2时对其在24小时内形成为热带气旋的机会跳过评级“低”,直接评级为“中”,3小时后(凌晨5时)更上调至“高”,并同时发出热带气旋形成警报。
该低压区在30日逐渐整合,螺旋性渐变明显,低层环流中心若隐若现,台湾中央气象局在当日下午2时将该系统升格为热带低压,联合台风警报中心则在当晚11时把该系统升格为热带低压,并给予编号22W,日本气象厅在3小时后,即10月1日凌晨2时跟随升格,同日下午3时25分对其发出烈风警报。
中国国家气象中心亦在下午5时20分把该系统升格为热带低压,而香港天文台则在下午6时半,在未有表示“一个热带气旋似乎在形成中”的情况下,把该系统升格为热带低压。
在副热带高压脊引导下,该系统在当日采取偏西北路径,时速20至22公里,逼近菲律宾吕宋;而其环流以西面较强、东面较弱,不过低层环流中心受对流包围,未有外露。各官方气象部门对该热带低压的预测路径颇为一致,都是预计该系统大致朝向海南至广东西部一带,最高强度则介乎强热带风暴上限至台风下限。
联合台风警报中心在晚上11时率先把该系统升格为热带风暴,但6小时后因应系统在吕宋登陆,而降回热带低压级别;可是就在该热带低压即将登陆吕宋的时候,台湾中央气象局在10月2日凌晨2时将该系统升格为轻度台风,日本气象厅也紧随其后,在1小时之后(凌晨3时)把该系统升格为热带风暴,并命名为彩虹,给予国际编号1522。
彩虹在2日凌晨以西偏北路径穿越吕宋,早上进入南海,其北面环流被吕宋地形破坏,但由于彩虹的中心在吕宋山脉南面掠过,加上移速颇快,因此中心结构完好无损。
香港天文台于彩虹移入南海后,亦随即在上午9时半把彩虹升格为热带风暴;不过联合台风警报中心直至下午5时才重新作出此项升格。
南海北部接近3个月未有热带气旋活跃,因而积存庞大能量,水温达摄氏30度以上,令彩虹加强的速度比各官方气象部门预期更快,系统流出呈放射状,破损的北面环流在下午已获得填补,对流云带进一步巩固低层环流中心,组成中心密集云团,“云卷风眼”更开始显现,中国国家气象中心在晚上8时25分率先把彩虹升格为强热带风暴,香港天文台和日本气象厅亦分别在3日凌晨1时45分及5时45分把彩虹升格为强热带风暴。
副热带高压脊继续引导彩虹稳定向西偏北移动,移速不变。
各部门对彩虹的预测未有太多变化,惟一分歧只是在华南的登陆点,香港天文台、日本气象厅、澳门气象局预料彩虹在广东湛江至茂名登陆,联合台风警报中心和台湾中央气象局则研判彩虹会穿越雷州半岛;而中国国家气象中心的预测路径最偏西,预料彩虹在海南文昌市附近登陆,此预测最后落空。
10月3日日间彩虹持续吸收南海北部蕴含的能量,强度稳步上扬,并逐渐打开风眼。
中国国家气象中心和香港天文台先后在同日下午2时20分及3时半把彩虹升格为台风,日本气象厅和联合台风警报中心相继在当晚8时45分及9时正跟随,台湾中央气象局也紧接在晚上10时把彩虹升格为中度台风。
海水能量继续源源不绝地供应给彩虹,驱使彩虹于入夜后迅速增强,在雷达图上呈现一个直径约20公里的细小风眼,而眼壁也越来越完整和扎实,反映彩虹渐趋成熟。
中国国家气象中心在晚上11时半更把彩虹进一步升格为强台风,其后香港天文台于翌日(4日)凌晨5时45分亦作出此项升格。
由于自身内力加大,彩虹再度向西北移动,抵达海南岛东北面,这令中国国家气象中心放弃登陆海南的预测,修改为横越雷州半岛。
香港天文台在下午1时45分表示彩虹已于湛江附近登陆,而中国国家气象中心雷达图亦显示彩虹在2时前已经登陆,但该部门公布彩虹在下午2时10分才以强台风上限强度登陆湛江坡头区。
之后陆地摩擦使彩虹转趋减弱,风眼变得模糊不清,眼壁崩塌,香港天文台和中国国家气象中心分别在下午5时45分及6时正把彩虹降格为台风。
晚上彩虹减速移动,以时速12至14公里向西北推进,移入广西;同时彩虹急剧减弱,其“云塞风眼”被逐渐填塞,中国国家气象中心、香港天文台相继在晚上10时25分及45分把彩虹降格为强热带风暴,联合台风警报中心紧接在晚上11时对彩虹发出最后警报。
彩虹于10月5日凌晨继续采取西北路径移入内陆,强度继续被快速削弱,中心密集云团瓦解,低层环流中心亦变得难以辨认。日本气象厅连续3报作出降级,凌晨2时50分把彩虹降格为强热带风暴、5时50分降格为热带风暴,再隔3小时后于早上8时50分降格为热带低压。
中国国家气象中心更早于凌晨3时25分已把彩虹降格为热带风暴,过了6小时再于上午9时25分降格为热带低压,终在下午2时40分宣布停编;而香港天文台则紧随其后,在凌晨3时45分把彩虹降格为热带风暴,后于上午11时45分再把彩虹降格为热带低压,最终在下午4时15分把彩虹降格为低压区。
彩虹的残余系统随后转向偏北方向移动,进一步深入内陆,其低层环流中心在6日消亡,但残余云带仍为华南带来大雨;直至彩虹的残余云系在7日晚间至8日减弱消散,华南天气才逐渐好转。
香港天文台在10月16日公布强台风彩虹报告,把彩虹巅峰时的接近中心最高持续风速,由强台风下限的每小时155公里,大幅上调至每小时175公里。
而中国国家气象中心则上调至每秒52米,评级至超强台风。

彩虹近岸达到巅峰
强台风彩虹于2015年10月04日14时左右登陆广东湛江坡头区。
最高风力可达15级,超过中国国家气象局的预估标准。
强台风“彩虹”在广东湛江市坡头区沿海登陆,登陆时中心最大风力达16级。
茂名至湛江高速全线封闭状态。

2016年7月3日08时,尼伯特在西北太平洋上生成,7月5日2时加强为强热带风暴,当日8时加强为台风,20时继而加强为超强台风,7月6日下午加强到顶峰强度72m/s,895百帕。
7月8日凌晨05时50分,尼伯特在台湾台东县登陆,7月9日13时45分在福建石狮市再次登陆,7月10日03时减弱为热带低压。
台风尼伯特带来的狂风暴雨给台湾造成严重的灾害,截至7月8日上午10时,共造成台湾2人死亡,72人受伤;尼伯特以强热带风暴的强度登陆福建省,截至7月11日9时,共造成福建83人死亡,19人失踪。

2016年9月10日14时,莫兰蒂在西北太平洋洋面上生成。
9月11日14时加强为强热带风暴。
9月12日02时加强为台风,08时加强为强台风,11时继续加强为超强台风级。
9月13日晚间加强到顶峰强度70m/s(年鉴上调至75m/s)。
9月15日以强台风级在中国福建省厦门市登陆,登陆时中心最大风力48m/s(年鉴上调至52m/s,超强台风),重创厦门市。
17时减弱为热带低压。9月16日凌晨在中国黄海海域消散。

2016年第17号台风“鲇鱼”9月28日登陆福建省漳[zhang]州市境内,就是北纬24.9度,东经117.3度,最大风力有10级(28米/秒),中心最低气压985百帕。
随后进入江西南部,减弱消失。
在菲律宾以东洋面上,新的热带扰动93W正在逐渐加强,它的云系巨大而壮观,南侧享受着丰富水汽的补充,北侧则被副热带高压压制着。
未来,副热带高压会有一个逐渐向我国华东南部和华南东部沿海西伸的过程,93W很可能在2016年10月12日加强生成为2016年第21号台风莎莉嘉。

台风莎莉嘉
分析认为,在强大的副热带高压引导下,未来的21号台风“莎莉嘉”将一路向西,靠近华南沿海。
10月12日20时在菲律宾以东洋面上生成,10月13日上午08时中心位于菲律宾马尼拉偏东方向约630公里的洋面上(北纬13.9度、东经126.8度),近中心最大风力9级(23米/秒)。
莎莉嘉”将以每小时10公里左右的速度向偏西方向移动,强度缓慢加强,17日进入南海中北部海面。
受“莎莉嘉”外围环流和冷空气的共同影响,17日前后台湾海峡东北风7~8级阵风9级;崇武到东山沿海最大风力可达7级,阵风8~9级。
台风“莎莉嘉”的中心已于10月16日凌晨2点20分前后在菲律宾吕宋岛东部沿海登陆,登陆时中心附近最大风力有16级(55米/秒),中心最低气压930百帕。
登陆后“莎莉嘉”减弱为强台风级,16日早晨5点钟其中心位于吕宋岛南部地区,中心附近最大风力有14级(45米/秒),中心最低气压950百帕。
预计,“莎莉嘉”将以每小时25公里左右的速度向偏西方向移动,强度继续加强,即将穿过菲律宾,中午前后进入南海东部海面。
进入南海后将以每小时20-25公里的速度向西偏北方向移动,强度再次加强,并逐渐向海南岛东南部海面靠近,18日白天登陆海南岛东南部沿海。
2016年10月18日上午9点50分前后第21号台风“莎莉嘉”在海南省万宁市和乐镇沿海登陆,登陆时中心附近最大风力有14级(45米/秒),中心最低气压为955百帕。
据中央气象台消息,2016年第21号台风“莎莉嘉”已于2016年10月19日17时在广西防城港市境内减弱为热带低压,其风力进一步减弱,已很难确定其环流中心,中央气象台20时对其停止编号。

该系统于2016年10月15日8时由中央气象台宣布生成,当日9时25分被日本气象厅升格为热带风暴并命名。
10月16日11时和14时,先后被联合台风警报中心和中央气象台升格为台风级。
10月17日8时被中央气象台升格为强台风级,当日17时被升格为超强台风级。
10月18日晚至19日日间达到巅峰强度,其强度达到萨菲尔-辛普森飓风等级下的五级标准。
10月19日23时40分前后,在菲律宾吕宋岛东北部沿海登陆。
10月21日12时40分前后,其中心在广东省汕尾市海丰县鲘[hou]门镇登陆,登陆时中心附近最大风力有14级(42米/秒),是有气象记录以来10月下旬以后登陆广东的最强台风。
10月22日5时,中央气象台对其停止编号。

2017年8月20日14时,在西北太平洋洋面上生成。之后强度不断加强,8月22日8时加强为强热带风暴,15时加强为台风。
8月23日7时加强为强台风,一天连跳两级,最强达15级(48m/s,年鉴中修改为16级,52m/s),12时50分前后以强台风级(14级,45m/s)在中国广东省珠海市登陆。
8月24日14时减弱为热带低压,17时中央气象台对其停止编号。

2018年7月4日20时,第8号台风玛莉亚在美国关岛以东洋面生成。
7月8日5点钟,台风玛莉亚以超强台风级出现在台湾省宜兰县东偏南方约1930公里的西北太平洋洋面上。
7月9日10时中央气象台发布台风黄色预警,中国气象局启动重大气象灾害(台风)三级应急响应。
7月10日10时,中央气象台发布台风红色预警。
台风“玛莉亚”的中心已于7月11日09时10分在福建连江黄岐半岛登陆,登陆时中心附近最大风力有14级(42米/秒),中心最低气压960百帕。
2018年7月11日晚上,中央气象台正式对8号台风采取停编措施。

2018年9月7日20时,台风“山竹”在西北太平洋洋面上生成;9月15日,台风“山竹“从菲律宾北部登陆;15日18时,广东省防总决定将防风级应急响应提升至|级;16日17时在广东台山海宴镇登陆,登陆时中心附近最大风力14级,中心最低气压955百帕;17日晚20时,因很难确定其环流中心,中央气象台停止对其编号。

台风“利奇马”于2019年8月4日15时许获得日本气象厅命名,8月7日5时许被中央气象台升格为台风,8月7日23时许被中央气象台进一步升格为超强台风,并继续向西北方向移动,向浙江沿海靠近;8月10日1时45分前后,台风“利奇马”的中心在浙江省温岭市沿海登陆,陆时中心附近最大风力有16级(52米/秒),中心最低气压930百帕。
如果你有什么非常好的观点,可以在文章下方留言。
2024-09-11 22:04:18
2024-09-11 09:00:10
2024-09-11 08:58:03
2024-09-11 08:55:56
2024-09-11 08:53:49
2024-09-11 08:51:42
2024-09-11 08:49:35
2024-09-11 08:47:29
2024-09-11 08:45:22
2024-09-11 08:43:15
2024-09-11 08:41:08
2024-09-11 08:39:01
2024-09-11 08:36:55
2024-09-11 08:34:48
2024-09-11 08:32:41
2024-09-11 08:30:34
2024-09-11 08:28:27
2024-09-11 08:26:20
2024-09-11 08:24:13
2024-09-11 08:22:07